- Paul Boehm
- Paul Boehm
The Boehm Family wanted more than anything to create closeness and housing security for their family long term. Paul and Rosa wanted a place not only for themselves to retire into when the time was right, but a place for their daughter Daniela and her husband, Rigo, to start a family.
Like many families looking into backyard homes, the Boehms have a multigenerational plan in place. Their plans cover multiple scenarios including aging-in-place, providing a home for their daughter, son-in-law and their growing family. As an educator, Paul understands the challenges of housing costs in the Bay Area. Daniela, a special needs educator, is feeling the pinch even more
With two independent, comfortable homes on the property, the Boehm’s property can now support multiple, independent families, with varied needs while providing everyone in the family a comfortable way to be close and grow together. For the Boehm family, an ADU is the perfect solution.

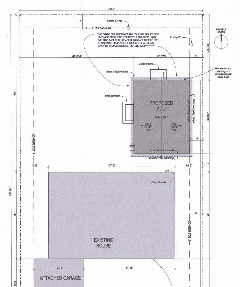
As with every accessory dwelling unit project, there is a lot to learn about the property. No two lots are the same and so feasibility studies are critical to truly understand the real scope, costs, and timelines for any backyard home build.
The Boehm’s had a few specifics that needed to be managed. The first was that the property has a series of trees on it that needed to be carefully mapped for preservation and/or relocation. The second was the presence of a septic tank which would have to be properly removed and the void filled in before the home’s footprint could be confirmed.
Additionally, we learned that the Boehm property fell within the jurisdiction of two school districts and additional fees were required, a relatively uncommon occurrence, but important to discover early on for budgeting purposes.

Accessibility for aging-in-place was one of the more important focuses on the Boehm accessory home. An open, easy to access floor plan for Rosa and Paul, as well as many long-term, low maintenance decisions like durable, scratch resistance, and ding resistant interiors, floors, countertop, sinks, and even fixtures.
Additionally, this unit was also built on a raised foundation, a special request, so there would be a crawlspace for accessing and maintaining utility lines more easily. More decisions like selecting a ducted furnace, a more traditional heating solution, rather than a split unit.

During the refinement and navigation portion of any Acton ADU project, critical architectural, interior, production, energy compliance, and governmental jurisdiction requirements are addressed and documented into the permit plans.
Every jurisdiction, whether state, city, country, or even neighborhood has specific requirements that need to be met, especially in the case of accessory dwelling units. The process is complex and requires many levels of specialized processes and best practices to accomplish permitting an ADU in a cost-effective and time-efficient way. At Acton ADU we call this process navigation.
For the Boehm project, we followed our standard protocols to address all comments and requirements early in the process, including identifying the two separate school fees for respective districts to which they were beholden. An uncommon occurrence, but again, one that was very important to plan for.

The first aspect of every Acton ADU construction project is to meet with the homeowners and develop a clear operational and logistical plan for their property and how it will impact them for the duration of the demolition, construction, and clean-up. This pre-construction process covers lots of details, down to the important granular necessities like managing children, pets and neighbors. For the Paul and Rosa, one consideration was their little pup, Oso, and making sure the rear yard was secure and the trenches were handled for safety.
That said, the build process for the Boehm ADU went very smoothly, and the project attracted quite a bit of media coverage both locally and nationwide. Their story, motivations, and the need for a trusted partner are common threads we hear consistently.

Daniela and Rigo will be moving in soon and the positive impact on the Boehm family has actually been heard around the country on everything from CALMatters Acton ADU with Matt Levin to NPR Marketplace Acton ADU with Kai Ryssdal.
The Boehm’s story resonates. And theirs is a story that we hear every day from families that have discovered a way to truly create long-term housing plans for themselves, their kids, and elderly parents. Building an ADU is about so much more than the obvious financial rewards in the future. Building an ADU is about family connectivity, security, independence, and ultimately the joy and peace of mind of knowing your family has a place to call home.
